City Meetings and Updates Week of March 9

posted 
  • City Meetings:
    • Common Council 3/10
    • Board of Public Works 3/10
    • Board of Park Commissioners 3/11
  • East District Coffee with a Cop with Officers and Leadership 3/10
  • Next Olbrich Botanical Gardens Planning Meeting 3/17
  • Events & Announcements

City Meetings

Common Council

The Common Council meeting will take place on Tuesday, March 10, at 6:30 p.m. in hybrid format. Agenda items include:

  • Item 2: An honoring resolution proclaiming April 26, 2026 as World Migratory Bird Day 2026 in the City of Madison.
  • Item 14: A resolution calling for a Public Health Comprehensive Needs Assessment for use of Opioid Settlement Funds. I’m a cosponsor and have been working with Alders Sabrina Madison and Julia Matthews on this issue. This resolution is on the agenda for introduction and adoption in the same night. The resolution asks for an alternative, data-driven way to determine how Dane County uses its Opioid Settlement Funds - rather than the previous process which recommended funding for a proposal that raised significant concerns and harmed public trust. Note: the Opioid Settlement Subcommittee of the Dane County Health and Human Needs Committee meets on Monday night and has an opportunity then to take the action requested by this resolution. If they do so, the sponsors of this resolution may choose not to introduce it at Tuesday's Council meeting. Fingers crossed. 
  • Item 35: A resolution approving plans for public improvements (utilities, infrastructure) as part of the Reiland Grove subdivision at 6004 Commercial Ave in District 3. 
  • Item 38: A resolution declaring the City of Madison’s intention to exercise its police powers establishing the Milwaukee Street & Sprecher Road Traffic Signal Assessment District. 
  • Item 76: A resolution indicating the City of Madison’s willingness to annex the Southeast side April Hills subdivision of Blooming Grove, which is scheduled to attach to Madison with other nearby parts of Blooming Grove in 2027 (I'm a cosponsor). The residents of April Hills gave notice of their intent to circulate a petition to annex into McFarland instead, triggering a Wisconsin Department of Administration review of which municipalities are best suited to extend urban services and how best to draw a continuous municipal boundary shape. This thorough staff memo from Planning Director Meagan Tuttle provides more background and detail. 

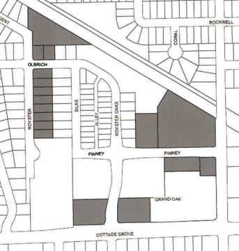
    Map showing shaded parcels in the Royster Oaks subdivision proposed to be acquired by the City
    Image credit: Madison Economic Development Division
    The City proposes to buy the parcels shaded in gray.
  • Item 83: A resolution adding $4.0 million in TID 44-supported GO borrowing and authorizing the execution of a Purchase & Sale Agreement for the City to acquire property for the purposes of land banking in the unfinished Royster Oaks neighborhood on the East Side, located just west of District 3 along Cottage Grove Road.
  • Item 86: A resolution amending the 2026 City Operating Budget to appropriate $70k from reserve to fund the Water, Stormwater, and Sewer Utility portions of the MadCAP program for the remainder of 2026. This is because last year the Wisconsin public Service Commission decided not to allow the City to continue funding the MadCAP program from municipal bill revenues. MadCAP provides eligible households with a monthly credit of up to $300 on the Municipal Services Bill. Find more information about MadCAP here and see if you qualify.

Meeting info:

Board of Public Works

The Board of Public Works meeting will take place on Wednesday, March 11, at 4:30 p.m. in virtual format. Agenda items include two items in District 3: ‘

  • Item 5: A public hearing on a resolution establishing a special assessment district for the traffic signals coming to Milwaukee Street and Sprecher Road bordering District 3. Per the resolution, the purpose of the assessment district “is to install, operate and maintain traffic signal improvements at the intersection of Milwaukee Street & Sprecher Road”. These long-awaited traffic signals will be installed in late summer 2026.  
Map showing Phase 1 of the Reiland Grove subdivision. Phase 1 is on the westernmost edge, near Felland road.
Image credit: City Engineering
  • Items 15 and 16: are resolutions approving plans and specifications for public improvements to take place as part of Phase 1 of the Reiland Grove subdivision in District 3, along with the planned stormwater improvements serving the area. The planned improvements include city streets, alleys, sidewalks, utilities, and a new mixed-use path. It looks like about 60 homes are included in phase 1, which is on the western end of the overall Reiland Grove subdivision.

Meeting info:

Board of Park Commissioners

The Board of Park Commissioners meeting will take place on Wednesday, March 11 at 6:30 p.m. in virtual format. Agenda items include:

Meeting info:

East District Coffee with a Cop with Officers and Leadership on Tuesday

From East District MPD: 

“Officers working in the Madison Police Department's East District hope to connect with community members over coffee on Tuesday.

The event gives community members a chance to speak directly to officers and MPD leadership.

There is no cost to attend and anyone, including those who do not live in the East District, are invited to attend. 

Here are the details for the upcoming event. 

March 10
Pinney Library Branch
9:30-11 a.m.”

Next Olbrich Botanical Gardens Planning Meeting 3/17

Thank you to everyone who joined the first Olbrich Botanical Garden comprehensive planning public workshops in January as part of their effort to gather community input for the ongoing comprehensive master planning process.

The next in-person public workshops will be held at Olbrich on Tuesday, March 17, at both noon or 6 p.m. (identical sessions - pick the time that works best for your schedule)

This workshop will consist of a short presentation from the design team on the initial proposed design scenarios, followed by small group Q&A and feedback sessions. Participants are welcome to bring children - there will be a kids' area with coloring sheets and light snacks will be provided. 

Registration is appreciated but not required. Here’s the link to register.

Here’s the project website with much more information

Here’s a link to an online survey!

Areal photo of Olbrich Botanical Gardens
Image credit: Olbrich Botanical Gardens

Events and Announcements 

Was this page helpful to you? * required
Portrait of Alder Derek Field

Alder Derek Field

District 3
Contact Alder Field

Categories